Three dead as intense typhoon pounds Philippines

One of the most intense typhoons on record whipped the Philippines Friday, killing three people and terrifying millions as monster winds tore roofs off buildings and giant waves washed away flimsy homes.
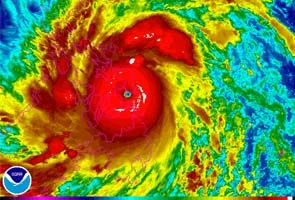
Super Typhoon Haiyan smashed into coastal communities on the central island of Samar, about 600 kilometres (370 miles) southeast of Manila, before dawn on Friday with maximum sustained winds of about 315 kilometres (195 miles) an hour.
"We've had reports of uprooted trees, very strong winds... and houses made of light materials being damaged," Philippine Red Cross chief Gwendolyn Pang told AFP on Friday afternoon as Haiyan swept across the archipelago's central and southern islands.
The government said three people had been confirmed killed and another man was missing after he fell off a gangplank in the central port of Cebu.
But the death toll was expected to rise, with authorities unable to immediately contact the worst affected areas and Haiyan only expected to leave the Philippines in the evening.
"The winds were so strong that they flattened all the banana plants around the house," university student Jessa Aljibe, 19, told AFP by telephone from the Samar city of Borongan shortly after Haiyan made landfall.
All telephone contact to the island was later lost as the typhoon moved inland.
"We have put rescue teams and equipment at different places, but at the moment we can't really do much because of the heavy rain and strong winds. There is no power," said Pang, the Red Cross official.
An average of 20 major storms or typhoons, many of them deadly, batter the Philippines each year.
The developing country is particularly vulnerable because it is often the first major landmass for the storms after they build over the Pacific Ocean.
The Philippines suffered the world's strongest storm of 2012, when Typhoon Bopha left about 2,000 people dead or missing on the southern island of Mindanao.
But Haiyan's wind strength made it one of the four most powerful typhoons ever recorded in the world, and the most intense to have made landfall, according to Jeff Masters, the director of meteorology at US-based Weather Underground.
Haiyan generated wind gusts of 379 kilometres an hour on Friday morning, according to the US Navy's Joint Typhoon Warning Center.
Masters said the previous record for the strongest typhoon to make landfall was Hurricane Camille, which hit Mississippi in the United States with sustained winds of 190 miles an hour in 1969.
The US expert said he expected the damage in Guiuan, a fishing town of about 40,000 people that was the first to be hit on Friday, to be "catastrophic".
Communication lines with Guiuan remained cut off in the afternoon, and the civil defence office said it was unable to give an assessment of the damage there.
In Tacloban, a nearby city of more than 200,000 people, corrugated iron sheets were ripped off roofs and floated with the wind before crashing into buildings, according to video footage taken by a resident.
Flash floods also turned Tacloban's streets into rivers, while a photo from an ABS-CBN television reporter showed six bamboo houses washed away along a beach more than 200 kilometres to the south.
Preparing for disaster
President Benigno Aquino on Thursday had warned his compatriots to make all possible preparations for Haiyan.
"To our local officials, your constituents are facing a serious peril. Let us do all we can while (Haiyan) has not yet hit land," he said in a nationally televised address.
More than 125,000 people in the most vulnerable areas had been moved to evacuation centres before Haiyan hit, according to the national disaster management council, and millions of others huddled in their homes.
Authorities said schools in the storm's path were closed, ferry services suspended and flights cancelled.
In the capital Manila, which was on the northern edge of the typhoon's path, many schools were closed amid forecasts of heavy rain.
One particularly vulnerable area in Haiyan's path was the central island of Bohol, the epicentre of a 7.1-magnitude earthquake last month that killed 222 people.
At least 5,000 survivors were still living in tents on Bohol, and they were moved to schools that had been turned into evacuation centres.
The Philippine government and some scientists have said climate change may be increasing the ferocity and frequency of storms.
Masters said warm Pacific waters were an important reason for the strength of Haiyan, but said it was premature to blame climate change based on the scanty historical data available.
Must-Watch Video
Stay updated with our news

